2039:中古戸建
| 価格 | 1,390万円 |
|---|---|
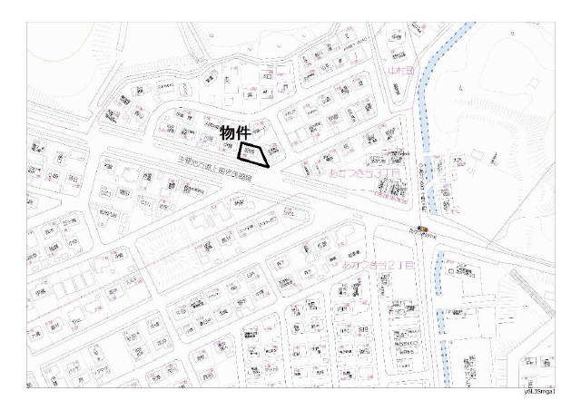
| 所在地 | 四日市市あかつき台3丁目 |
| 交通 | 四日市市 八郷地区 四日市市エリア 四日市市周辺地区 |
| 最寄駅 | 三岐鉄道三岐線「暁学園前」駅まで 徒歩8分 620m |
| 間取 | 3DK |
| 土地面積 | 273.83m²(82.83坪) |
| 建物面積 | 62.93m²(19.03坪) |
| 私道面積 | |
| 築年月 | 1975/02 |
| 学区 | 小学校区:八郷西小学校 815m 中学校区:西朝明中学校 1,365m |
| 建物構造 | 木造 |
|---|---|
| 階建 | 地上1階建 |
| 建ぺい率 | 60% |
| 容積率 | 200% |
| 地目 | 宅地 |
| 用途地域 | 第二種中高層住居専用地域 |
| 土地権利 | 所有権 |
| 取引態様 | 仲介 |
| 引渡時期 | 即時 |
| セットバック | |
|---|---|
| 接道 | 南 公道 |
| 諸費用 | |
| 他法条例 | |
| 建築確認番号 | |
| 取引条件有効期限 | 令和08年2月8日 |
特色
現況:空家、木造平屋建、駐車場、公営水道、公共下水、プロパンガス、三岐鉄道三岐線「暁学園前」駅徒歩約8分、三岐バス「あかつき台二丁目」停徒歩約3分
コメント
現況:空家、木造平屋建、駐車場、公営水道、公共下水、プロパンガス、三岐鉄道三岐線「暁学園前」駅徒歩約8分、三岐バス「あかつき台二丁目」停徒歩約3分






