2041:中古戸建
| 価格 | 1,590万円 |
|---|---|
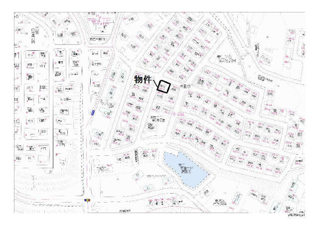
| 所在地 | 四日市市生桑町 |
| 交通 | 四日市市 三重地区 四日市市エリア 海蔵・羽津・橋北・三重・大矢知 |
| 最寄バス停 | 三交バス |
| 間取 | 5SDK |
| 土地面積 | 224.89m²(68.02坪) |
| 建物面積 | 114.33m²(34.58坪) |
| 私道面積 | |
| 築年月 | 1979/03 |
| 学区 | 小学校区:三重小学校 1,680m 中学校区:大池中学校 3,390m |
| 建物構造 | 軽量鉄骨造 |
|---|---|
| 階建 | 地上2階建 |
| 建ぺい率 | 60% |
| 容積率 | 200% |
| 地目 | 宅地 |
| 用途地域 | 第一種低層住居専用地域 |
| 土地権利 | 所有権 |
| 取引態様 | 仲介 |
| 引渡時期 | 相談 |
| セットバック | |
|---|---|
| 接道 | 北 6.6m(幅員) 公道 西 6.2m(幅員) 公道 |
| 諸費用 | |
| 他法条例 | |
| 建築確認番号 | |
| 取引条件有効期限 | 令和08年2月23日 |
特色
現況:空家、軽量鉄骨造2階、角地、駐車場2台、公営水道、都市ガス、三交バス「三重四丁目」停徒歩約3分
コメント
現況:空家、軽量鉄骨造2階、角地、駐車場2台、公営水道、都市ガス、三交バス「三重四丁目」停徒歩約3分







