1327:売地
| 価格 | 8,848万円 |
|---|---|
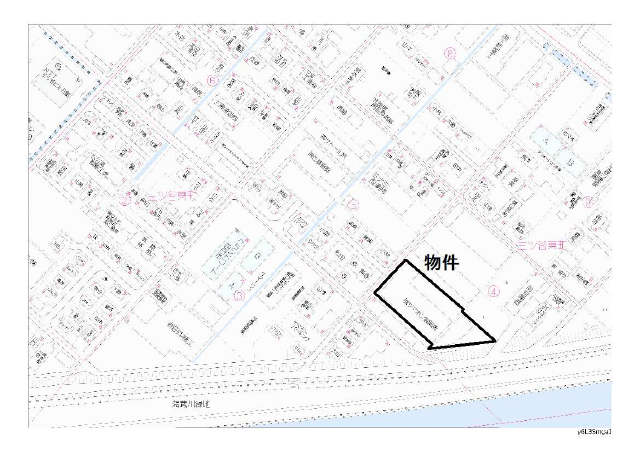
| 所在地 | 四日市市三ツ谷東町 |
| 交通 | 四日市市 海蔵地区 四日市市エリア 海蔵・羽津・橋北・三重・大矢知 |
| 最寄駅 | 近鉄名古屋線「阿倉川」駅まで 徒歩11分 820m |
| 土地面積 | 2,099.26m²(635.02坪) |
| 私道面積 | |
| 坪単価 | 13.93万円 |
| 学区 | 小学校区:海蔵小学校 1,530m 中学校区:山手中学校 1,590m |
| 建ぺい率 | 60% |
|---|---|
| 容積率 | 200% |
| 地目 | 宅地 |
| 用途地域 | 工業地域 |
| 現況 | 更地 |
| 土地権利 | 所有権 |
| 取引態様 | 仲介 |
| 引渡時期 | 相談 |
| セットバック | |
|---|---|
| 接道 | 北 4.5m(幅員) 公道 30.59m(接面) |
| 諸費用 | |
| 国土法届出 | |
| 都市計画 | 市街化区域 |
| 他法条例 | |
| 建築条件 | 条件無 |
| 取引条件有効期限 | 令和08年2月23日 |
特色
更地渡し、建築条件なし、公営水道、公共下水、都市ガス、近鉄名古屋線「阿倉川」駅徒歩約11分、※土地履歴は万古焼工場で売主様にて土壌浄化後に引き渡し(株)ジーエルプランによる保証書が発行されます、前面道路は四日市市計画道路です 本件土地が抵触しています道路幅員の拡幅がされるか時期は未定ですが本件土地地先の一部は四日市市に収容さfれる可能性あり、土地2031-4番の一部も所有者者様から売却のご意思確認済








